1. Änderung“ mit örtlichen Bauvorschriften
- Bekanntmachung der Aufstellung
- Frühzeitige Öffentlichkeitsbeteiligung nach § 3 Abs. 1 BauGB
Der Gemeinderat Mühlheim a.d.D. hat in öffentlicher Sitzung am 23.01.2024 beschlossen, den Bebauungsplan und die örtlichen Bauvorschriften „Mühlenösch Erweiterung 1. Änderung“ nach den Bestimmungen des Baugesetzbuches (BauGB) aufzustellen.
Die Planaufstellung erfolgt auf der Grundlage des § 13a BauGB als Bebauungsplan der Innenentwicklung im beschleunigten Verfahren. Auf eine Umweltverträglichkeitsprüfung mit Ausgleichspflicht kann dabei verzichtet werden.
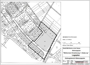
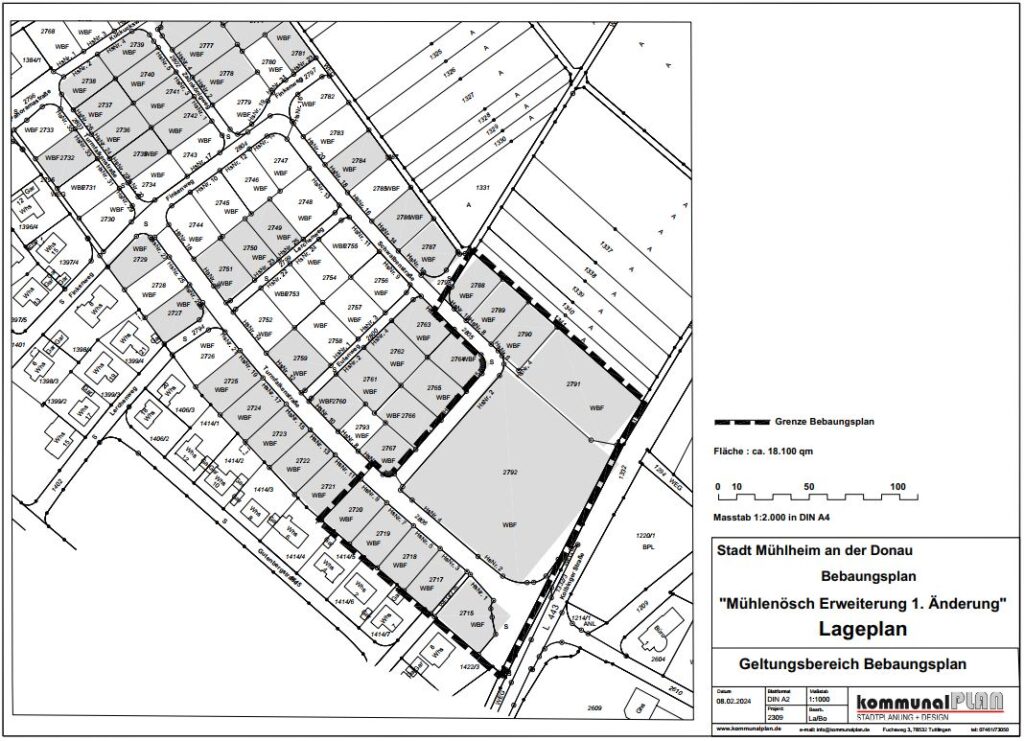
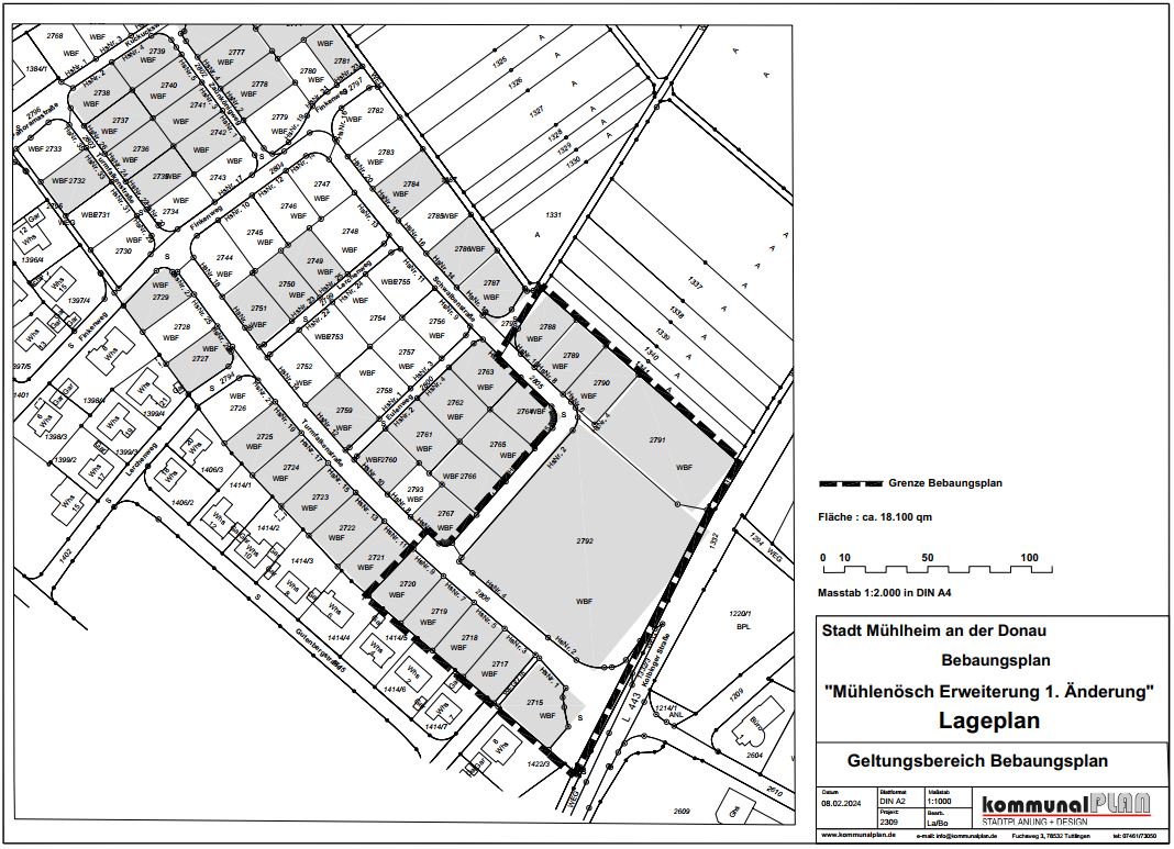
Der Geltungsbereich des Bebauungsplans umfasst den umrandeten Bereich im folgenden Plan:
2024-02-08_Mühlheim_2309_Lageplan

Ziel der Planung ist die Ausweisung einer Mischgebietsfläche als „Urbanes Gebiet“ (MU) für den Bau von nicht wesentlich störenden Verwaltungsbauten, Mehrfamilienhäusern und einer altersgerechten Wohnanlage.
Die in diesem Gebiet geltenden maximalen Gebäudehöhen werden nicht überschritten.
Der Nachweis erforderlicher Stellplätze für gewerbliche Nutzungen sind bis zu 80 % außerhalb des Plangebietes nachzuweisen.
Eine störungsfreie Integration des Vorhabens in das Wohngebiet wird durch den Verzicht von Kundenverkehr und ohne Emissionen durch Produktion gewährleistet.
Zum Zwecke einer frühzeitigen Öffentlichkeitsbeteiligung nach § 3 Abs. 1 BauGB kann sich die Öffentlichkeit vom 20.03.2024 bis einschließlich 22.04.2024 im Rathaus Mühlheim a.d.D., Schlossstraße 1 im Vorzimmer des Bürgermeisters im 1. OG während der üblichen Öffnungszeiten über die allgemeinen Ziele und Zwecke sowie die voraussichtlichen Auswirkungen der Planung informieren. Es besteht Gelegenheit zur Erörterung und Abgabe von Stellungnahmen.
Die Unterlagen der frühzeitigen Öffentlichkeitsbeteiligung können während des. o.g. Zeitraums auch im Internet auf der Webseite der Stadt Mühlheim a.d.D. eingesehen werden unter www.muehlheim-donau.de
Schriftlich vorgebrachte Stellungnahmen sollen die volle Anschrift des Verfassers bzw. der Verfasserin enthalten.
Mühlheim a.d.D., den 06. März 2024
Jörg Kaltenbach
Bürgermeister