Öffentliche Bekanntmachung – Bebauungsplanverfahren „Mühlenösch Erweiterung 1. Änderung“

Öffentlichkeitsbeteiligung gem. § 3 Abs. 2 BauGB

 

Der Gemeinderat Mühlheim a.d.D. hat in öffentlicher Sitzung am 11.06.2024 den Entwurf des Bebauungsplans und die örtlichen Bauvorschriften „Mühlenösch Erweiterung 1. Änderung“ gebilligt und beschlossen, diesen nach § 3 Abs. 2 Baugesetzbuch (BauGB) öffentlich auszulegen.

 

Die Planaufstellung erfolgt auf der Grundlage des § 13a BauGB als Bebauungsplan der Innenentwicklung im beschleunigten Verfahren. Auf eine Umweltverträglichkeitsprüfung mit Ausgleichspflicht kann dabei verzichtet werden.

 

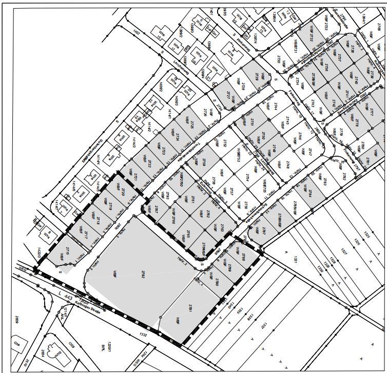
2024-02-08_Mühlheim_2309_Lageplan

Ziel der Planung ist die Ausweisung einer Mischgebietsfläche als „Urbanes Gebiet“ (MU) für den Bau von nicht wesentlich störenden Verwaltungsbauten, Mehrfamilienhäusern und einer altersgerechten Wohnanlage.

 

Zum Zwecke der Öffentlichkeitsbeteiligung nach § 3 Abs. 2 BauGB liegt der Entwurf des Bebauungsplans mit folgenden Unterlagen aus:

  • Bebauungsplan (Planzeichnung), planungsrechtlichen Festsetzungen, örtliche Bauvorschriften und Hinweise sowie Begründung, jeweils vom 21.05.2024
  • Umweltbericht und planexterne Maßnahmen vom 27.09.2022, Büro Thomas Grözinger
  • Artenschutzrechtlicher Fachbeitrag vom 18.06.2018, Büro Thomas Grözinger
  • Geräuschimmissionsprognose vom 11.01.2018, Büro RW Bauphysik
  • bislang eingegangene umweltbezogene Stellungnahmen seitens:
  • Regierungspräsidium Singen, Abt. Mobilität, Verkehr, Straßen vom 20.03.2024 – Hinweise zu Abwasser / Oberflächenwasser, Bepflanzung,
  • Regierungspräsidium FR, Landesamt für Geologie vom 11.04.2024 – Hinweise zur Geotechnik, Bodenkunde
  • Regierungspräsidium Stuttgart, Landesamt für Denkmalpflege vom 18.04.2024 – Hinweise zu Erdarbeiten.
  • Landratsamt Tuttlingen, Naturschutzbehörde vom 19.04.2024 – Hinweise zu Monitoring der Ökokontomaßnahmen
  • Landratsamt Tuttlingen, Straßenbaubehörde vom 19.04.2024 – Hinweise zu Abwasser / Oberflächenwasser, Entwässerung, Bepflanzung
  • Landratsamt Tuttlingen, Wasserwirtschaftsamt vom 19.04.2024 – Hinweise zu Bodenschutz
  • Regierungspräsidium FR, Ref. 21 Raumordnung, Baurecht und Denkmalschutz vom 29.04.2024 – Hinweise zum Flächennutzungsplan.

 

Die Entwurfsauslegung findet statt vom 28. Juni 2024 bis einschließlich 29. Juli 2024 im Rathaus Mühlheim a.d.D., Schlossstraße 1, im Vorzimmer des Bürgermeisters im 1. OG, während der üblichen Öffnungszeiten. Es besteht Gelegenheit zur Erörterung und Abgabe von Stellungnahmen.

 

Die Unterlagen der Öffentlichkeitsbeteiligung können während des. o.g. Zeitraums auch im Internet auf der Webseite der Stadt Mühlheim a.d.D. eingesehen werden unter www.muehlheim-donau.de.Schriftlich vorgebrachte Stellungnahmen sollen die volle Anschrift des Verfassers bzw. der Verfasserin enthalten. Nicht fristgerecht abgegebene Stellungnahmen können bei der Beschlussfassung über den Bebauungsplan unberücksichtigt bleiben.

 

Mühlheim an der Donau, 12. Juni 2024

 

Jörg Kaltenbach

Bürgermeister

 

Anlagen:

01_2024-05-21_BPlan_Entwurf_Mühlenösch 1. Änd._945x594

02_2024-05-21_textliche Festsetzungen Mühlenösch_1. Änd

03_2024-05-21_Begründung_Mühlenösch Erweiterung

04_2022-09-27_Umweltbericht_Satzungsbeschluss

05_2022-09-27_Übersicht_planexterne Maßnahmen_Satzungsbeschluss (1)

06_2018-06-18_artenschutzr.Fachbeitrag_Mühlenösch Erweiterung

07_2018-01-11_Geräuschimmissionsprogrnose Mühlenösch Erweiterung

08_2024-05-21_Abwägungsvorlage_frühz.Beteiligung