Öffentliche Bekanntmachung Obere Mühle

Inkrafttreten des vorhabenbezogenen Bebauungsplans und der örtlichen Bauvorschriften „Erweiterung Obere Mühle – 1. Änderung“

Der Gemeinderat der Stadt Mühlheim an der Donau hat in öffentlicher Sitzung am 19.11.2019 den vorhabenbezogenen Bebauungsplan sowie die örtlichen Bauvorschriften „Erweiterung Obere Mühle – 1. Änderung“ gemäß § 10 Abs. 1 Baugesetzbuch (BauGB) i.V.m. § 4 Gemeindeordnung (GemO) bzw. § 74 Landesbauordnung (LBO) i. V. mit § 4 GemO als Satzungen beschlossen.

Maßgebend sind die planungsrechtlichen Festsetzungen und örtlichen Bauvorschriften (zeichnerischer und textlicher Teil), jeweils vom 07.11.2019, der Vorhaben- und Erschließungsplan vom 12.07.2019 sowie die gemeinsame Begründung vom 07.11.2019.

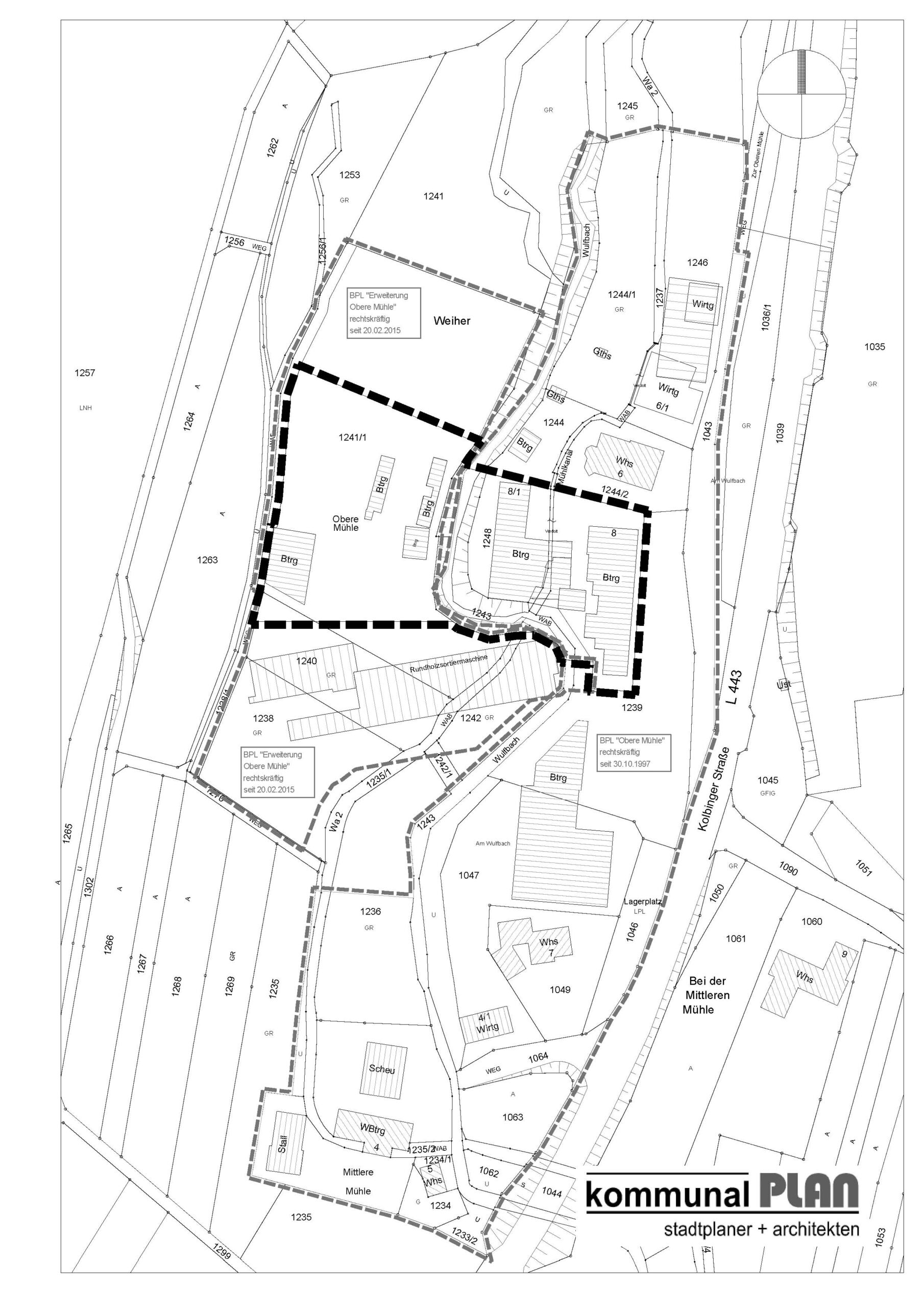
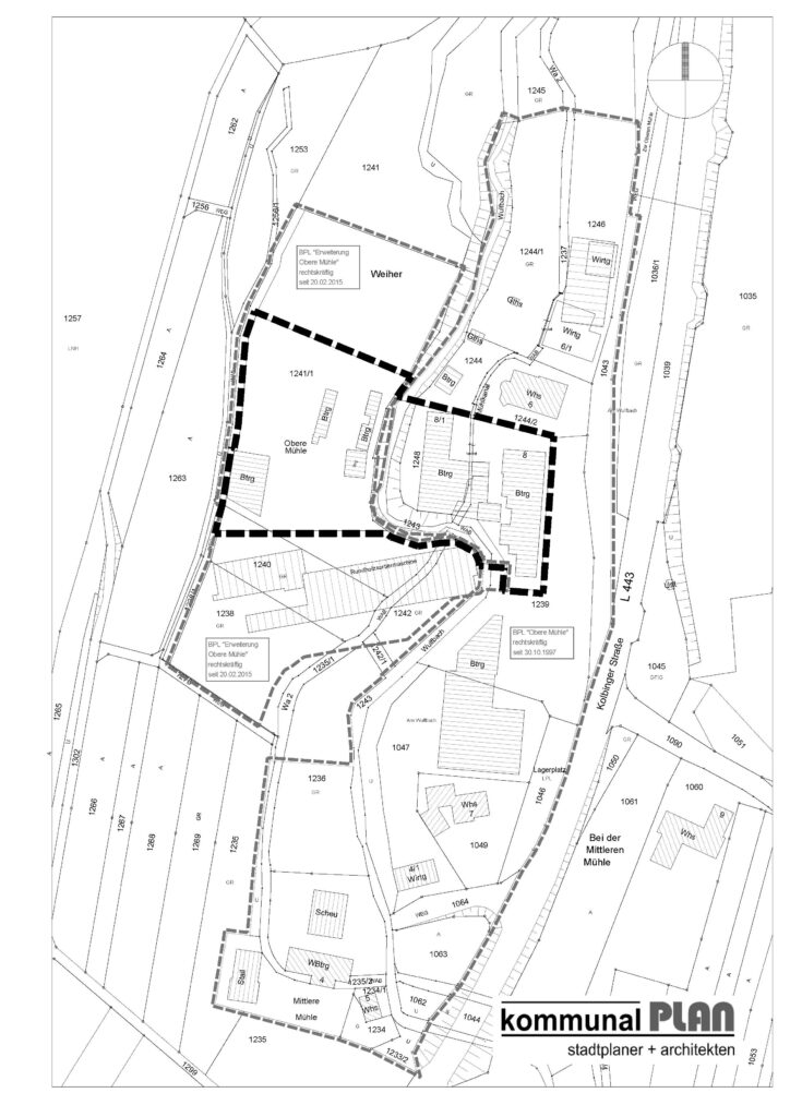
Der räumliche Geltungsbereich des vorhabenbezogenen Bebauungsplans / der örtlichen Bauvorschriften ergibt sich aus nachstehendem Lageplan.

Der Bebauungsplan sowie die Örtlichen Bauvorschriften treten mit dieser Bekanntmachung in Kraft (§ 10 Abs. 3 BauGB).

Der vorhabenbezogene Bebauungsplan, die örtlichen Bauvorschriften einschließlich Vorhaben- und Erschließungsplan und der Begründung werden im Rathaus der Stadt Mühlheim a.d.D., Hauptstr. 16, im Vorzimmer des Bürgermeisters, während der üblichen Dienststunden zu jedermanns Einsicht bereit gehalten. Über den Inhalt wird auf Verlangen Auskunft erteilt.

Gesetzliche Wirksamkeitsvoraussetzungen:

Unbeachtlich werden nach § 215 Abs. 1 BauGB:

  1. Eine nach § 214 Abs. 1 Satz 1 Nr. 1-3 BauGB beachtliche Verletzung der dort bezeichneten Verfahrens- und Formvorschriften,
  2. eine unter Berücksichtigung des § 214 Abs. 2 BauGB beachtliche Verletzung der Vorschriften über das Verhältnis des Bebauungsplanes und des Flächennutzungsplanes und
  3. nach § 214 Abs. 3 Satz 2 BauGB beachtliche Mängel des Abwägungsvorganges,

wenn sie nicht innerhalb eines Jahres seit dieser Bekanntmachung schriftlich gegenüber der Stadt Mühlheim a.d.D. unter Darlegung des die Verletzung begründenden Sachverhalts geltend gemacht worden sind. Satz 1 gilt entsprechend, wenn Fehler nach § 214 Abs. 2a BauGB beachtlich sind.

Auf die Vorschriften des § 44 Abs. 3 Satz 1 und 2 sowie Abs. 4 BauGB über die fristgemäße Geltendmachung etwaiger Entschädigungsansprüche für Eingriffe in eine bisher zulässige Nutzung durch den o.g. Bebauungsplan und über das Erlöschen von Entschädigungsansprüchen wird hingewiesen. Eine eventuelle Verletzung von Verfahrens- und Formvorschriften der Gemeindeordnung für Baden-Württemberg (GemO) oder von aufgrund der GemO erlassenen Verfahrensvorschriften ist nach § 4 Abs. 4 GemO in dem dort bezeichneten Umfang unbeachtlich, wenn sie nicht schriftlich und unter Bezeichnung des Sachverhaltes, der die Verletzung begründen soll, innerhalb eines Jahres seit dieser Bekanntmachung gegenüber der Stadt Mühlheim a.d.D. geltend gemacht worden ist.

Mühlheim a.d.D., den 22. November 2019

 

Jörg Kaltenbach,

Bürgermeister

 

Anlagen:

Anlage 1 Bebauungsplan

Anlage 2 Textliche Festsetzungen

Anlage 3 Vorhabens- und Erschließungsplan

Anlage 4 Begründung

Anlage 5 Landschaftsbildbewertung

Anlage 6 Schalltechnische Stellungnahme